Land in Limassol № 120255
Additional:
Title deed
Description:
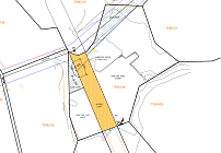
A plot of residential land for sale in Agios Athanasios (below highway), Limassol. The land has irregular shape, flat surface and frontage with the road. The building density is 100%, the percentage of coverage is 50%, 3 floors, 13.5 meters.
Read more
Object
№120255
Type:
Land
City:
District:
Complex:
Developer:
Land area:
4296 m2
Storey:
3
Distance to the sea:
1400 m
Zone:
Ka5
Building percentage:
100
Percentage of coverage:
50
Communications summed up:
Yes
4 200 000 EUR
+ VAT
4200000
978
EUR/m2
Schedule a viewing
Similar offers
3723 objects
Show all
Previous viewed objects
12 objects
Show all
Interesting
