Земля в Ларнаке №201887
Описание:
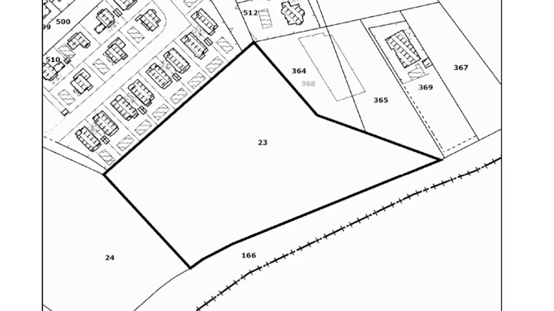
Продаётся жилой земельный участок площадью 10 034 м² в районе Mazotos, Larnaca. Земельный участок предназначен для жилой застройки и имеет чётко определённые границы в соответствии с официальным кадастровым планом. Участок находится в собственности компании, что обеспечивает прозрачность и простоту сделки.
Читать далее
Объект
№201887
Тип:
Земля
Город:
Район:
Комплекс:
Застройщик:
Площадь участка:
10034 м2
3 700 000 EUR
3700000
369
EUR/м2
Записаться на просмотр
Похожие предложения
715 объектов
Показать все
Ранее просмотренные объекты
Интересное
