Земля в Пафосе №213347
Дополнительно:
Титул
Описание:
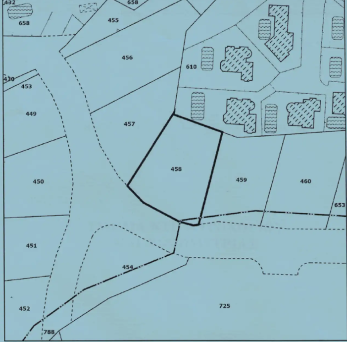
Продаётся земельный участок под жилую застройку в районе Tsada, город Paphos. Площадь участка 736 м², с панорамным видом на море и горы, перед участком предусмотрена зелёная зона, что гарантирует открытый вид. Участок расположен в жилой зоне H6 с коэффициентом застройки 20%, плотностью 20%, разрешено строительство до 2 этажей с максимальной высотой 8.3 м. Участок продаётся с готовыми разрешениями на строительство роскошной виллы с инфинити-бассейном и современным архитектурным проектом, что позволяет начать строительство сразу без задержек и реализовать проект высокого уровня.
Читать далее
Объект
№213347
Тип:
Земля
Город:
Район:
Комплекс:
Застройщик:
Площадь участка:
736 м2
Этажность:
2
Расстояние до моря:
7000 м
Зона:
H6
Процент застройки:
20
Процент покрытия:
20
185 000 EUR
185000
251
EUR/м2
Записаться на просмотр
Похожие предложения
678 объектов
Показать все
Ранее просмотренные объекты
Интересное
