
Land in Paphos / Universal №199807




SOLD
1
Additional:
Титул
Description:
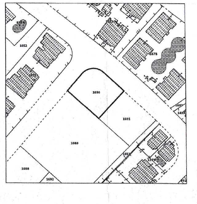
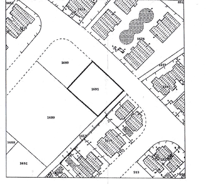
Two adjacent plots of land are for sale in the Universal area, Paphos, the area of one plot is 707 m2, the area of the other is 696 m2, which are sold as one, the total area is 1,403 m2, both plots completely fall within the development zone of Kva7, it is permissible to build on two floors with a maximum building height of up to 10 meters, the building coefficient is 45% and The building density is 80%, the plots are suitable for residential construction and are located in the sought-after Universal area, convenient for both private projects and investment development.
Object
№199807
Type:
Land
City:
District:
Complex:
Developer:
Total area:
1,403 m²
Land area:
1,403 m²
Distance to sea:
1900 м
Zone:
Ka7
Building density:
80
Coverage ratio:
45
Utilities connected:
No
€1,200,000
€855 / m²



