Земля в Пафосе №199807
Дополнительно:
Титул
Описание:
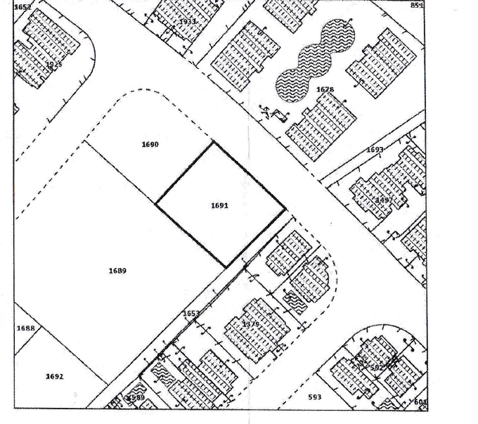
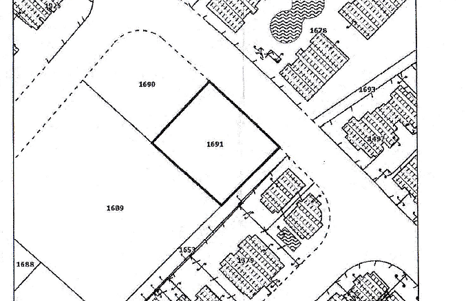
Продаются два смежных земельных участка в районе Universal, Paphos, площадь одного участка 707 м², площадь другого 696 м², которые продаются как один, общая площадь 1 403 м², оба участка полностью попадают в зону застройки Κα7, допустима застройка в два этажа с максимальной высотой здания до 10 метров, коэффициент застройки 45 % и плотность застройки 80%, участки подходят для жилого строительства и расположены в востребованном районе Universal, удобном как для частного проекта, так и для инвестиционной застройки.
Читать далее
Объект
№199807
Тип:
Земля
Город:
Район:
Комплекс:
Застройщик:
Площадь участка:
1403 м2
Этажность:
2
Расстояние до моря:
1900 м
Зона:
Ka7
Процент застройки:
80
Процент покрытия:
45
1 200 000 EUR
1200000
855
EUR/м2
Записаться на просмотр
Похожие предложения
654 объекта
Показать все
Интересное
